无障碍浏览
进入适老化
灵寿县人民政府
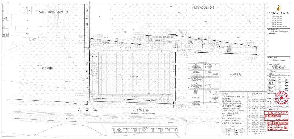
关于河北润丰涂料有限公司新型纳米防水防火材料研发生产基地项目规划方案公示的通告
发布时间:2025-11-27 来源:
【字体:
大
中
小
】
打印
关于河北润丰涂料有限公司新型纳米防水防火材料研发生产基地项目规划方案公示的通告