无障碍浏览
进入适老化
灵寿县人民政府
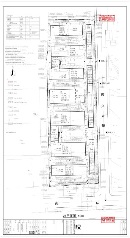
关于灵寿县慈灵服装制造有限公司服装生产加工项目规划方案公示的通告
发布时间:2025-11-27 来源:
【字体:
大
中
小
】
打印
关于灵寿县慈灵服装制造有限公司服装生产加工项目规划方案公示的通告