无障碍浏览
进入适老化
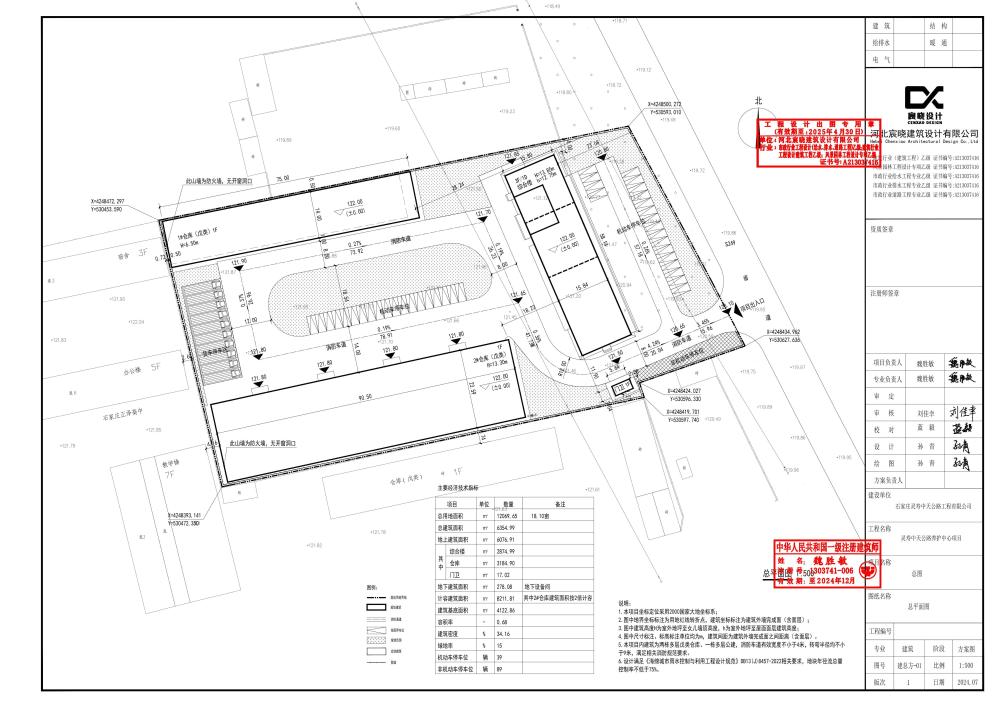
灵寿县人民政府
关于中天公路养护中心项目规划方案公示的通告
发布时间:2026-02-03 来源:
【字体:
大
中
小
】
打印
关于中天公路养护中心项目规划方案公示的通告