无障碍浏览
进入适老化
灵寿县人民政府
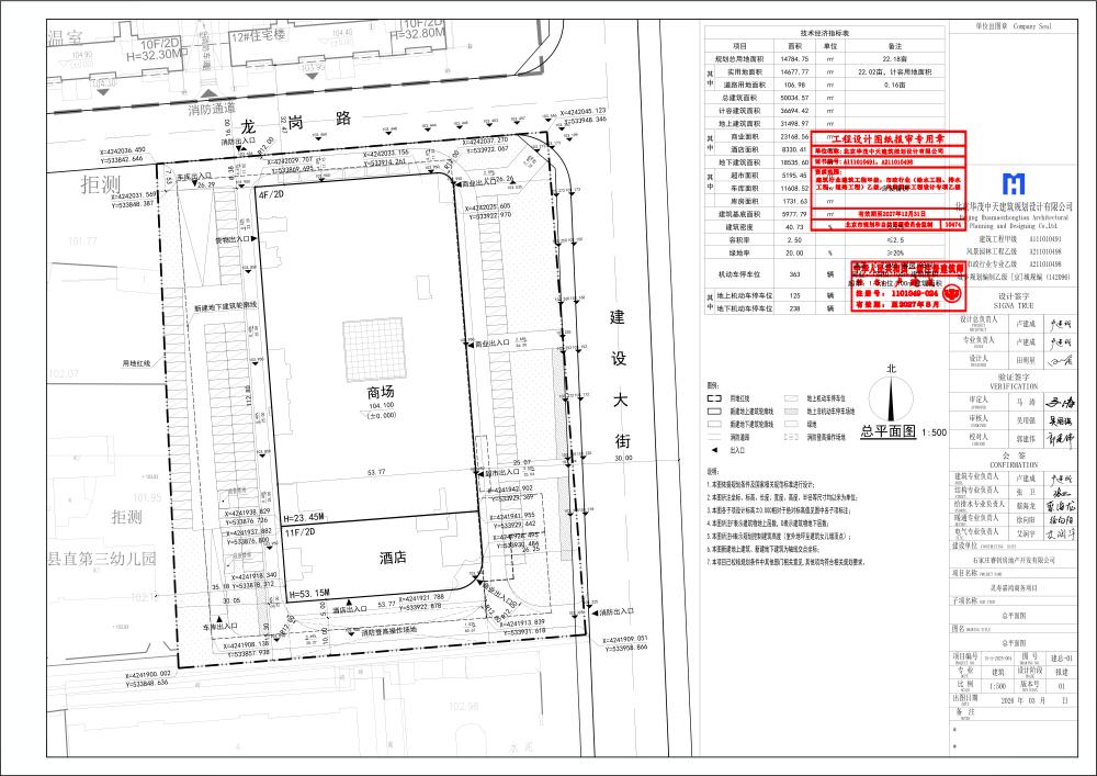
关于灵寿嘉鸿商务项目规划方案公示的通告
发布时间:2026-03-25 来源:
【字体:
大
中
小
】
打印
关于灵寿嘉鸿商务项目规划方案公示的通告