无障碍浏览
进入适老化
灵寿县人民政府
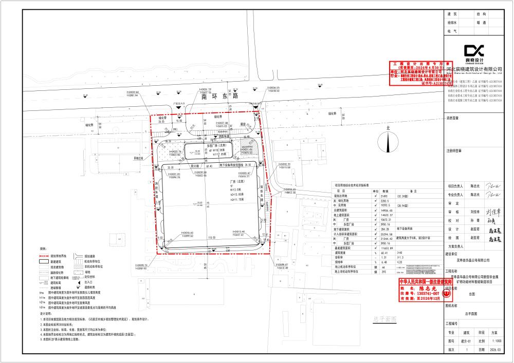
关于灵寿县华晶云母有限公司新型非金属矿物功能材料智能制造项目规划方案公示的通告
发布时间:2026-03-27 来源:
【字体:
大
中
小
】
打印
关于灵寿县华晶云母有限公司新型非金属矿物功能材料智能制造项目规划方案公示的通告